Experience-Based Roundabout Optimization
Our principle-based experience enables innovative solutions to emerge that enhance multimodal integration.
What distinguishes MTJ Roundabout Consulting is our principled-based optimization process—a proven approach that ensures every roundabout is integrated into its surrounding context. By leveraging the unique operational advantages of roundabouts, we identify solutions that enhance community-wide multimodal safety benefits while minimizing adverse impacts.
Traffic Planning Evaluation & Operational Analysis
#1
Our integrated traffic planning and operational analysis allow for evaluation of existing conditions, context, constraints, and opportunities for a given application.
-
• Prevailing speeds
• Lane continuity
• Business access and side street needs
• Pedestrian and bicycle facilitation goals, objectives and opportunities
• Large truck/freight/transit movement requirements
-
• Conduct sensitivity testing to ensure a robust analysis to achieve operational goals
• Identify safe laneage and geometric layout alternatives to meet operational objectives and best fit for existing context and lane continuity
“We have learned the critical importance of using a true subject-matter expert when it comes to delivering optimally operating roundabout intersection control. Mark Johnson is a unique specialist with an eye for finding the subtle design nuances that can make or break roundabout performance. Whether it is in the role of original designer or peer reviewer, we trust Mark and his team to bring the knowledge, experience, and input necessary to assure our roundabouts are delivered at the highest level.”
Greg Muhonen, PE Public Works Director
Town of Estes Park, CO
Alternative Concept Development
#2
Building upon Step 1 findings, MTJ develops planning level concept alternatives taking into account known constraints and available design space. This iterative process allows for evaluation of alternatives against project goals to determine optimal layout, to include
Minimizing adverse impacts and maximizing community benefits
Transitions to existing roadways to ensure optimal operations and safety
Utilization of roundabout operational characteristics to improve business access and side street circulation
Optimal safety and facilitation for non-motorized users
“We have collaborated with MTJ on dozens of roundabout projects including single-lane, corridors and larger complex multi-lane roundabouts. In addition to providing design input and peer review (critical for any well-designed roundabout), Mark thoroughly understands the ‘how and why’ of roundabouts and is able to communicate this understanding equally to both plan reviewers and the general public. In this role, he provides confidence in the decision to use roundabouts and ensures that they are optimally designed.”
Ron Boyle, PE | Senior Manager | GHD
Greg Muhonen, PE Public Works Director
Town of Estes Park, CO
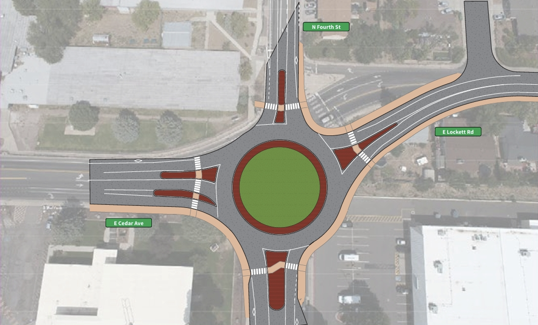
#3
Design
Whether we’re conducting a Peer Review or Direct Design, MTJ ensures that the horizontal design, signage, and pavement markings successfully work together to maximize driver comprehension and ensure optimal safety for all modes.
-
Identifies and documents areas of a design that do not adhere to roundabout and traffic engineering safety design principles
Develops optimized redesign recommendations to achieve safety design principles
Provides corrective optimized redesign and associated conformance documentation, per NCHRP 1043, Guide for Roundabouts
-
Provides optimized designs anchored in state-of-the-art roundabout design principles in concert with traffic planning and roadway/highway engineering criteria. Our approach utilizes the operational characteristics of roundabouts to minimize adverse impacts and maximize community benefits.
Click images to expand.
“MTJ’s ability to communicate ideas, quick turn-around of design modifications, and technical proficiency made it feel like we had our own in-house design expert.”
Tim Stewart, PE | Hurley and Stewart, Inc. | Kalamazoo, MI

